pull-icon
logo-mobile
logo-mobile

Гость

Гостевой доступ

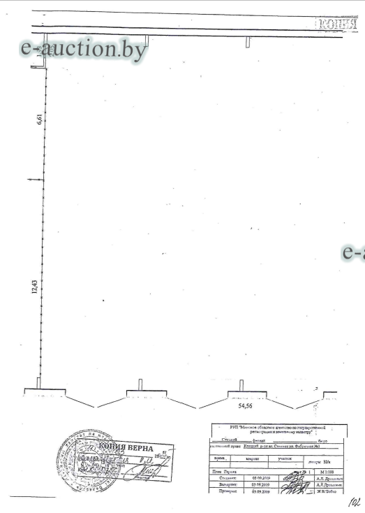
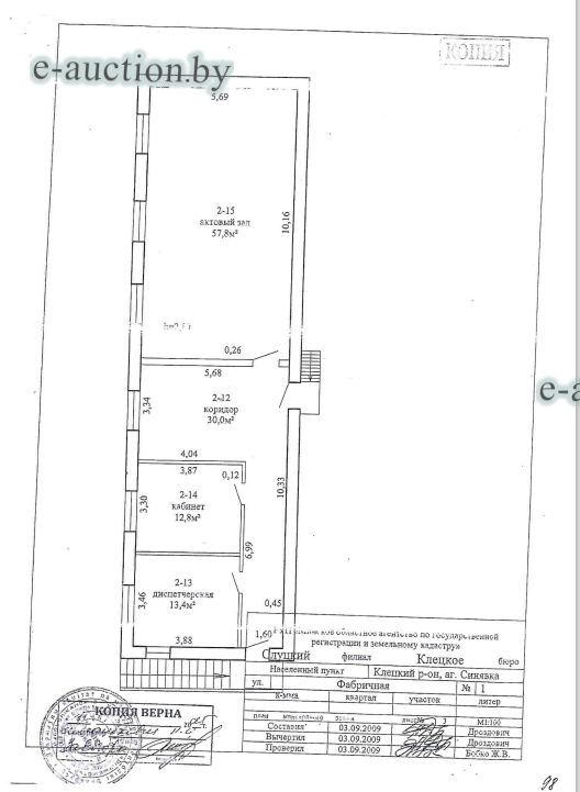
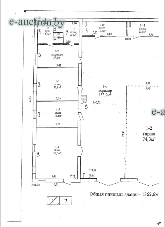
Гараж для автомашин в аг. Синявка (Клецкий район), площадью 1362.6 м²

Информация о предмете торгов
Описание имущества

Сведения о капитальном строении:
Наименование: Гараж для автомашин;
Назначение: Здание специализированное транспорта;
Составные части и принадлежности: Кирпичный двухэтажный гараж для автомашин З2/к;
Право собственности: Совместное общество с ограниченной ответственностью "Синявская фабрика мебели";
Расположено на земельном участке с кадастровым номером 622584505101000001 площадью 5.1974 га;
Право постоянного пользования: Совместное общество с ограниченной ответственностью "Синявская фабрика мебели";
Отдельный участок земли под капитальное строение не выделен.

Местоположение имущества Минская область, Клецкий р-н, Синявский с/с, аг. Синявка, ул. Фабричная, 1 /9
Площадь общая (кв.м.) 1362.6
Инвентарный номер 641/C-12764
Должник: Совместное общество с ограниченной ответственностью "Синявская фабрика мебели"
Обременения: Запрет совершения регистрационных действий судебного исполнителя.
Осмотр объекта
Участник электронных торгов обязан до начала электронных торгов осмотреть предмет торгов ( п.2.4.3 Регламента)
Контактное лицо: Специалист по продаже
Контакты: +375445293910
Организатор торгов
Наименование Республиканское унитарное предприятие по оказанию услуг "БелЮрОбеспечение"
УНП организации 192821149
Контакты организатора аукциона +375 162 28 59 61; +375 44 529 39 10; +375 29 393 15 36
Адрес организатора аукциона 224012, г.Брест, ул. Спокойная, д. 9, пом. 11
Email организатора аукциона brest@e-auction.by
Орган принудительного исполнения
Наименование ОПИ УПИ главного управления юстиции Брестского облисполкома
УНП 200019773
Адрес 224030, г. Брест, пр-т Машерова, 6
Телефон 8 (0162) 30-16-47
Email opi101@minjust.by
Реквизиты ОПИ УПИ главного управления юстиции Брестского облисполкома, УНП: 200019773, р/c BY48AKBB36429000026751000000 в ОАО "АСБ Беларусбанк", БИК AKBBBY2X
Судебный исполнитель
Ф.И.О. Луковец Нелли Владимировна
Телефон +375291554246

Вы оказались единственными учатником аукциона

Вам предоставляется возможнсть преобрести лот №1.2026.03.00022 по начальной цене 110 400.00 BYN плюс 5%.

Итоговая стоимость имущества составит: 115 920.00 BYN

Согласен приобрести лот Не согласен приобрести лот

Вам предложено преобрести имущество

В связи с признанием торгов несостоявшимися ввиду неоплаты победителем стоимости лота предлагаем в течение 5 рабочих дней принять решение о приобретении лота №1.2026.03.00022 по вашей последней ставке.

Итоговая стоимость имущества составит: 0.00 BYN

Согласен приобрести лот Не согласен приобрести лот


Для участия в аукционе вам нужно оплатить задаток в размере 11 040.00 BYN для участия в аукционе.


Внимание! Вы действительно хотите установить ставку равную 15 000,03 BYN значительно превышающую по отношению к предыдущей на

+10 000,00 BYN


Внимание! Вы действительно хотите установить ставку равную 15 000,03 BYN, значительно превышающую по отношению к предыдущей на

+10 000,00 BYN

Ставка значительно превышает предыдущую ставку. Для подтверждения ставки подтвердите согласие на установку и введите слово "СОГЛАСЕН" в поле ниже:




Забыли пароль? Восcтановить доступ к площадке.


Уважаемый пользователь! В соответствии с Законом Республики Беларусь «О защите персональных данных» для продолжения работы на интернет-сайте e- auction.by просим ознакомиться с Пользовательским соглашением интернет-сайта e-auction.by и выразить согласие на обработку информации о пользователе, в том числе персональных данных.


Для восcтановления доступа вам нужно ввести зарегистрированный почтовый адрес. На указанный вами почтовый адрес будет выслана уникальная ссылка для создания нового пароля.

Вспомнили? Авторизация